Impianti rinnovabili. Legambiente: “Obbiettivo primario è decarbonizzare”
L'obiettivo primario è chiaro: "Decarbonizzare". A parlare e a esprimere la posizione di Legambiente è il suo presidente regionale Davide Ferraresi
L'obiettivo primario è chiaro: "Decarbonizzare". A parlare e a esprimere la posizione di Legambiente è il suo presidente regionale Davide Ferraresi
Il sistema ferroviario regionale gestito da Ferrovie Emilia-Romagna (Fer) registra un deciso miglioramento in termini di puntualità nel primo trimestre del 2026, ma il quadro non è uniforme: Ferrara si conferma tra i territori più in difficoltà, con due delle linee meno performanti dell’intera rete
Presentata, presso la residenza municipale, l’iniziativa “Disco Verde”, che vede la collaborazione di tre importanti realtà baluardo di solidarietà e beneficenza
In tantissimi domenica hanno voluto mostrare la loro vicinanza agli sfollati del grattacielo partecipando al pranzo di quartiere che si è svolto nel chiostro di San Bartolo
Un'alleanza concreta tra istituzioni, scuole e cittadini per la tutela dell'ambiente: Ferrara ha ospitato oggi, 20 aprile, il convegno distrettuale "Un'Alleanza con i Lions per l'Ambiente", proseguendo un percorso che coinvolgerà direttamente anche oltre 200...
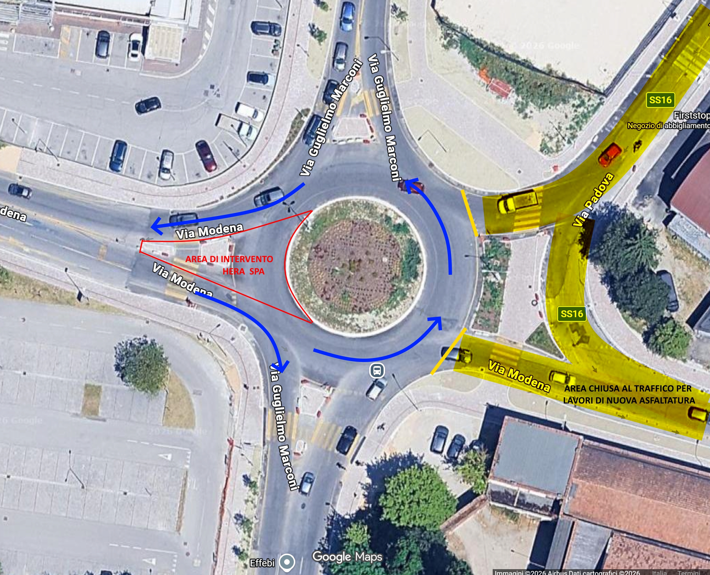
Nelle ore serali di oggi martedì 21 aprile, con inizio alle 21 e conclusione alle 2 di mercoledì 22 aprile, è prevista la chiusura al transito di parte dell’anello della rotatoria tra le vie Modena-Marconi, a Ferrara, per lavori ai sottoservizi da parte di Hera spa. Per ridurre i disagi alla circolazione dei cittadini, l’intervento è stato programmato in concomitanza con i lavori notturni, a cura del Comune di Ferrara, per l’asfaltatura del comparto Nord Ovest della città.
Per consentire l’esecuzione dei lavori a cura di Hera, sarà chiuso al transito il tratto dell’anello della rotatoria via Modena-via Marconi compreso tra l’uscita “via Modena – direzione Cassana” (esclusa) e l’ingresso “via Modena – provenienza Cassana” (escluso).
I veicoli che percorrono la via Marconi, con provenienza da via Michelini, saranno indirizzati verso la via Modena in direzione di Cassana. Per raggiungere via del Lavoro sarà necessario utilizzare le vie Schiavoni-Arginone-Trenti.
Saranno contestualmente chiusi, per via dei lavori di asfaltatura in corso, l’ingresso in rotatoria dalla via Padova provenienza via Maragno e l’uscita dalla rotatoria in via Modena direzione centro città.
Da 20 anni Estense.com offre una informazione indipendente ai suoi lettori e non ha mai accettato fondi pubblici per non pesare nemmeno un centesimo sulle spalle della collettività. Il lavoro che svolgiamo ha un costo economico non indifferente e la pubblicità dei privati non sempre è sufficiente.
Per questo chiediamo a chi quotidianamente ci legge e, speriamo, ci apprezza di darci un piccolo contributo in base alle proprie possibilità. Anche un piccolo sostegno, moltiplicato per le decine di migliaia di ferraresi che ci leggono ogni giorno, può diventare fondamentale.
OPPURE se preferisci non usare PayPal ma un normale bonifico bancario (anche periodico) puoi intestarlo a:
Scoop Media Edit
IBAN: IT06D0538713004000000035119 (Banca BPER)
Causale: Donazione per Estense.com